Barrio : A. de los Chorrillos
| Sup. terreno | 3.107 m² |
|---|---|
| Orientación: | Norte |
PAGANI GIULIANI VENDE – TERRENO PREMIUM CON COSTA PRIVADA AL ARROYO
Ubicado en Altos de Los Chorrillos, Villa Carlos Paz, con accesos estratégicos por Villa Ernestina (Moliere) y Villa del Lago (Tintoretto).
Propiedad con alto potencial de inversión, 6 lotes con bajada propia a la costa del RÍO Los Chorrillos, Carlos Paz- Córdoba
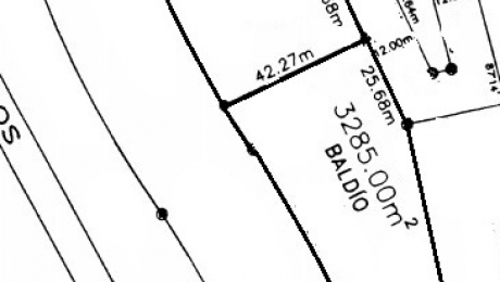
LOTES: L.A 3.285 m² , (129 m de costa); L.B 3.107 m², (58 m de costa); L.C 2.960m² (47 m de costa). Bloque total de 9.352 m²
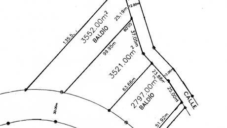
LOTES: L.D 3.521 m² , (50 m de costa); L.E 3.552 m² (33 m de costa); L.F 3.769 m² (25 m de costa). Bloque total de 10.842 m²
-- Playas de arena natural y entorno con vegetación autóctona
-- Acceso adicional a calle Sanzio cruzando el arroyo en la zona de la playa.
Atención: la medidas que se encuentran en los paréntesis, son aproximadas (por redondeo) y se refiere a los metros lineales de costa sobre el arroyo Los Chorrillos, de cada uno.
Proyecto ideal para desarrollo turístico de alto rendimiento: eco-resort, lodge boutique, cabañas premium, complejo rental o inversión patrimonial.
Ubicación estratégica + diferencial natural = plusvalía asegurada
Escritura
Impuestos al día
© 2026 INGtechnology